二重アゴ筋肉縛り(ペリカン手術)の症例写真
二重アゴ筋肉縛り(ペリカン手術)の症例写真
-
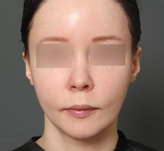
- Before
-
20代女性二重アゴ筋肉縛り
- After
-
20代女性施術3ヶ月後
骨切り後に二重アゴが気になるようになり二重アゴ筋肉縛りを行いました。余分な脂肪やたるみがなくなり横からみたラインも美しく仕上がりました。
アングル別・施術経過別
-
-
20代女性
-
20代女性
-
-
-
20代女性
-
20代女性
-
施術の詳細
| 施術時間 | 1時間程 |
|---|---|
| ダウンタイム | 【腫れ】 1週間程度/【内出血】 2週間程度 |
| シャワー・洗髪 | 3日後から可能 |
| 入浴 | 施術8日後(抜糸の翌日)より可能 |
- リスク
- ダウンタイム:【腫れ】 1週間程度/【内出血】 2週間程度





