鼻翼縮小(小鼻縮小)の症例写真
鼻翼縮小(小鼻縮小)、人中短縮(リップリフト)の症例写真
-
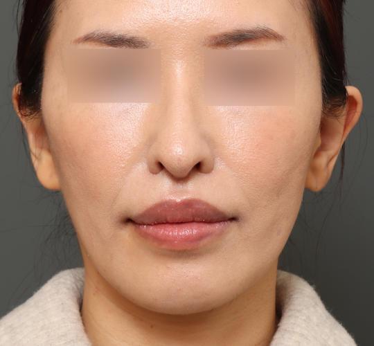
- Before
-
40代女性【鼻下の長さ・小鼻の広がり・アップノーズ気味を改善させたい】人中短縮+鼻翼縮小(外側法+内側法)+切除組織鼻先移植
- After
-
40代女性施術6ヵ月後
鼻下とアゴの長さのバランスがよくなり、口元が若々しい印象へと改善されました。気にされていた小鼻の広がりとアップノーズにも効果がでており、ナチュラルで美しい仕上がりです。
アングル別・施術経過別
-
-
40代女性
-
40代女性
-
-
-
40代女性
-
40代女性
-
-
-
40代女性
-
40代女性
-
施術の詳細
| 時間 | 1~4時間 |
|---|---|
| ダウンタイム | 【腫れ】 1週間程度/【内出血】 2週間程度 |
| メイク | 基本、翌日から可能だが施術内容によって異なる |
| シャワー・洗顔・洗髪 | 翌日から可能 |
| 入浴 | 施術後8日目(抜糸後)から可能 |
- リスク
- ダウンタイム:【腫れ】 1週間程度/【内出血】 2週間程度







