鼻の整形の症例写真

Case photos

オザキクリニックで治療を行った方の
症例写真をご覧いただけます。

鼻の整形の症例写真 鼻の整形の症例写真

鼻の整形ならオザキクリニックへ。鼻を高くしたい、小鼻の拡がりを抑えたい、鼻のバランスを整えたいなど、お客様一人ひとりのご希望にあわせた治療法をご提供します。まずはお気軽にご相談ください。

鼻の整形の症例写真一覧

鼻の整形の症例写真

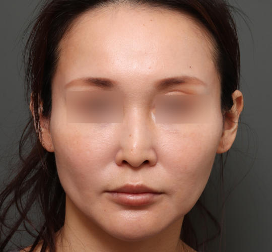
20代女性の鼻の整形 Before 症例写真

Before

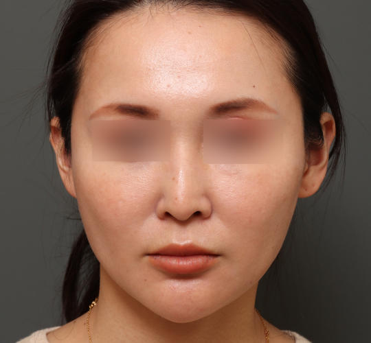
20代女性の鼻の整形 After 症例写真

After

施術名 ヒアルロン酸注射(鼻形成)
お悩み名 鼻の整形

リスク:ダウンタイム:【腫れ】 ほとんどなし/【内出血】 ほとんどなし

施術の概要
『ヒアルロン酸注射(鼻形成)』は、ヒアルロン酸を鼻根や鼻筋に注入し、鼻の高さや鼻のラインを形成する治療です。ヒアルロン酸は元々体内に存在している物質で、肌組織の水分やコラーゲンの保持などの働きがあります。注入後すぐに、体内のヒアルロン酸と融合して膨らみを実感します。ダウンタイムもほとんどなく、即効性を感じられる施術です。
施術の価格
46,000円〜100,000円 (税込 50,600円〜 110,000円)
20代女性の鼻の整形 Before 症例写真

Before

20代女性の鼻の整形 After 症例写真

After

施術名 ヒアルロン酸注射(鼻形成)
お悩み名 鼻の整形

リスク:ダウンタイム:【腫れ】 ほとんどなし/【内出血】 ほとんどなし

施術の概要
『ヒアルロン酸注射(鼻形成)』は、ヒアルロン酸を鼻根や鼻筋に注入し、鼻の高さや鼻のラインを形成する治療です。ヒアルロン酸は元々体内に存在している物質で、肌組織の水分やコラーゲンの保持などの働きがあります。注入後すぐに、体内のヒアルロン酸と融合して膨らみを実感します。ダウンタイムもほとんどなく、即効性を感じられる施術です。
施術の価格
46,000円〜100,000円 (税込 50,600円〜 110,000円)
30代女性の鼻の整形 Before 症例写真

Before

30代女性の鼻の整形 After 症例写真

After

施術名 鼻翼縮小(小鼻縮小)
お悩み名 鼻の整形、唇・口元の整形、二重整形・目元の整形

リスク:ダウンタイム:【腫れ】 1週間程度/【内出血】 2週間程度

施術の概要
小さな穴に憧れる、横に広がった鼻の穴を整えたい、そんなお悩みを改善する方法の一つとして鼻翼縮小(小鼻縮小)があります。鼻翼縮小(小鼻縮小)は、鼻翼部分を切除して、鼻の穴がご希望のサイズに見えるようバランスを整える施術です。鼻の穴を小さく、すっきりと見せる効果が期待できます。
施術の価格
250,000円〜400,000円 (税込 275,000円〜 440,000円)
30代女性の鼻の整形 Before 症例写真

Before

30代女性の鼻の整形 After 症例写真

After

施術名 ヒアルロン酸注射
お悩み名 シワ・たるみ、エラ・アゴ・小顔、鼻の整形、唇・口元の整形

リスク:痛み:チクッとした軽い痛み ダウンタイム:部位や治療内容によって内出血を伴うことがあります。

施術の概要
ヒアルロン酸は、内部に水分を豊富に含む粘性のあるジェル状の薬剤です。この粘性を活用して、ほうれい線などの深いシワや顔の凹み部分を内側から隆起させ、シワを伸ばしたり、ふっくらとした顔立ちをつくるのが、プチ整形の代名詞とも言われる『ヒアルロン酸注射』です。ヒアルロン酸はもともと皮膚内部に存在する潤い成分なので、安心して受けていただける治療法のひとつです。
施術の価格
46,000円〜100,000円 (税込 50,600円〜 110,000円)
30代女性の鼻の整形 Before 症例写真

Before

30代女性の鼻の整形 After 症例写真

After

施術名 人中短縮(リップリフト)
お悩み名 唇・口元の整形、鼻の整形

リスク:ダウンタイム:【腫れ・赤み】 1週間程度/【内出血】 2週間程度

施術の概要
「間延びした顔に見える」「加齢で鼻下がたるんできた」、そんな方におすすめなのが『人中短縮(リップリフト)』。鼻下を短く見せることでバランスの良い整った顔立ちになります。また、鼻下全体を引き上げることで、唇も上向きになり立体的な美しい唇になることも期待できます。
施術の価格
250,000円〜800,000円 (税込 275,000円〜 880,000円)
30代女性の鼻の整形 Before 症例写真

Before

30代女性の鼻の整形 After 症例写真

After

施術名 M字リップ形成
お悩み名 唇・口元の整形、鼻の整形

リスク:【腫れ・赤み】 1週間程度/【内出血】 2週間程度

施術の概要
『M字リップ形成』は、上唇の内側を一部切除し、口を閉じたときの上唇の形が「M」の形になるように整える施術です。自然に上唇をボリュームアップさせることができ、また口を閉じている時の印象が若々しく、優しい印象となります。黙っていると不機嫌そうに見られてしまう、唇をツンとかわいらしく立体的にしたいという方に特におすすめの施術です。
施術の価格
250,000円〜320,000円 (税込 275,000円〜 352,000円)
30代女性の鼻の整形 Before 症例写真

Before

30代女性の鼻の整形 After 症例写真

After

施術名 人中短縮(リップリフト)
お悩み名 唇・口元の整形、鼻の整形

リスク:ダウンタイム:【腫れ・赤み】 1週間程度/【内出血】 2週間程度

施術の概要
「間延びした顔に見える」「加齢で鼻下がたるんできた」、そんな方におすすめなのが『人中短縮(リップリフト)』。鼻下を短く見せることでバランスの良い整った顔立ちになります。また、鼻下全体を引き上げることで、唇も上向きになり立体的な美しい唇になることも期待できます。
施術の価格
250,000円〜800,000円 (税込 275,000円〜 880,000円)
20代女性の鼻の整形 Before 症例写真

Before

20代女性の鼻の整形 After 症例写真

After

施術名 人中短縮(リップリフト)
お悩み名 唇・口元の整形、鼻の整形

リスク:ダウンタイム:【腫れ・赤み】 1週間程度/【内出血】 2週間程度

施術の概要
「間延びした顔に見える」「加齢で鼻下がたるんできた」、そんな方におすすめなのが『人中短縮(リップリフト)』。鼻下を短く見せることでバランスの良い整った顔立ちになります。また、鼻下全体を引き上げることで、唇も上向きになり立体的な美しい唇になることも期待できます。
施術の価格
250,000円〜800,000円 (税込 275,000円〜 880,000円)
60代女性の鼻の整形 Before 症例写真

Before

60代女性の鼻の整形 After 症例写真

After

施術名 鼻プロテーゼ
お悩み名 鼻の整形

リスク:ダウンタイム:【腫れ】 1週間程度/【内出血】 2週間程度

施術の概要
プロテーゼを鼻筋に挿入し、鼻を高くシュッとした印象の鼻筋にする隆鼻術です。プロテーゼは医療用のシリコンでできた人口軟骨で、耐久性に優れているため変形などの心配もなく安心してご使用いただけます。また、一人ひとりに合ったオーダーメイドのプロテーゼを使用するため、しっかりと高さを出しながら、自然で美しい仕上がりになります。
施術の価格
65,000円〜350,000円 (税込 71,500円〜 385,000円)
20代女性の鼻の整形 Before 症例写真

Before

20代女性の鼻の整形 After 症例写真

After

施術名 人中短縮(リップリフト)
お悩み名 唇・口元の整形、鼻の整形

リスク:ダウンタイム:【腫れ・赤み】 1週間程度/【内出血】 2週間程度

施術の概要
「間延びした顔に見える」「加齢で鼻下がたるんできた」、そんな方におすすめなのが『人中短縮(リップリフト)』。鼻下を短く見せることでバランスの良い整った顔立ちになります。また、鼻下全体を引き上げることで、唇も上向きになり立体的な美しい唇になることも期待できます。
施術の価格
250,000円〜800,000円 (税込 275,000円〜 880,000円)