グロウHIFUセレクトプラスの症例写真
グロウHIFUセレクトプラスの症例写真
-
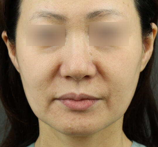
- Before
-
50代女性グロウHIFUセレクトプラス 施術前
皮膚のたるみ・毛穴・薄いシミが気になります
- After
-
50代女性5回施術後
薄いシミや毛穴が目立たなくなり肌が引き締まりました
アングル別・施術経過別
-
-
50代女性
-
50代女性
-
-
-
50代女性
-
50代女性
-
施術の詳細
| 施術時間 | 1時間~1時間30分 |
|---|---|
| 痛み | ほとんど無し |
| ダウンタイム | ほとんど無し |
| メイク | 当日から可能 |
- リスク
- ダウンタイム:【腫れ】【内出血】ほとんど無し





