人中短縮(リップリフト)の症例写真
人中短縮(リップリフト)、口角挙上(スマイルリップ)の症例写真
-
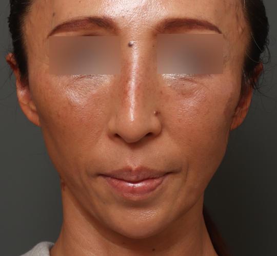
- Before
-
50代女性人中短縮+口角挙上 施術前
- After
-
50代女性施術3ヵ月後
人中を短く口角を挙げることで口元が若々しい印象になります。
アングル別・施術経過別
-
-
50代女性
-
50代女性
-
-
-
50代女性
-
50代女性
-
施術の詳細
| 時間 | 30分~1時間 |
|---|---|
| ダウンタイム | 【腫れ・赤み】 1週間程度/【内出血】 2週間程度 |
| メイク ・洗顔 | 患部以外は、翌日から可能(患部は抜糸の翌日から可能) |
| シャワー・洗髪 | 翌日から可能 |
| 入浴 | 施術後8日目(抜糸の翌日)から可能 |
- リスク
- ダウンタイム:【腫れ・赤み】 1週間程度/【内出血】 2週間程度





