ヒアルロン酸注射 の症例写真
ヒアルロン酸注射 、ヒアルロン酸注射(額)、ヒアルロン酸注射(ほうれい線)、ヒアルロン酸注射(ゴルゴライン)の症例写真
-
- Before
-
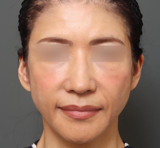
50代女性施術前
- After
-
50代女性施術2週間後
額・頬コケ・こめかみ・ゴルゴライン・ほうれい線にヒアルロン酸注射を行い、ナチュラルな見た目の若返り効果が得られました。
アングル別・施術経過別
-
-
50代女性
-
50代女性
-
-
-
50代女性
-
50代女性
-
-
-
50代女性
-
50代女性
-
施術の詳細
| 処置時間 | 15~30分 |
|---|---|
| 痛み | チクッとした軽い痛み |
| ダウンタイム | 部位や治療内容によって内出血を伴うことがあります。 |
| メイク | 施術直後から可能 |
| 持続期間 | 半年~1年ほど |
| 即効性 | あり |
- リスク
- 痛み:チクッとした軽い痛み ダウンタイム:部位や治療内容によって内出血を伴うことがあります。







