ヒアルロン酸注射 の症例写真
ヒアルロン酸注射 の症例写真
-
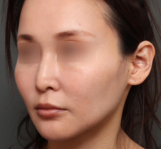
- Before
-
30代女性こめかみ・頬のコケ・フェイスラインのたるみ・上唇が薄く鼻下がのっぺりしているのが悩み
- After
-
30代女性注入部位…こめかみ・頬・アゴ・フェイスライン・唇・鼻
アングル別・施術経過別
-
-
30代女性頬がコケてフェイスラインのたるみが出てきています。唇が薄く加齢によって鼻下の長さも気になるように。
-
30代女性頬・アゴ・フェイスライン・エラにヒアルロン酸を注入することでたるみのないバランスのよい輪郭へ。上唇にも注入することで自然な人中短縮効果が得られました。
-
-
-
30代女性
-
30代女性
-
-
-
30代女性
-
30代女性
-
施術の詳細
| 処置時間 | 15~30分 |
|---|---|
| 痛み | チクッとした軽い痛み |
| ダウンタイム | 部位や治療内容によって内出血を伴うことがあります。 |
| メイク | 施術直後から可能 |
| 持続期間 | 半年~1年ほど |
| 即効性 | あり |
- リスク
- 痛み:チクッとした軽い痛み ダウンタイム:部位や治療内容によって内出血を伴うことがあります。







