エラ・アゴ・小顔の症例写真

Case photos

オザキクリニックで治療を行った方の
症例写真をご覧いただけます。

エラ・アゴ・小顔の症例写真 エラ・アゴ・小顔の症例写真

エラ・アゴ・小顔のお悩みならオザキクリニックへ。エラ張りを改善させたい、アゴをツンと尖らせたい、小顔になりたいなど、お客様一人ひとりのご希望にあわせた治療法をご提供します。まずはお気軽にご相談ください。

エラ・アゴ・小顔の症例写真一覧

エラ・アゴ・小顔の症例写真

20代女性のエラ・アゴ・小顔 Before 症例写真

Before

20代女性のエラ・アゴ・小顔 After 症例写真

After

施術名 顔の脂肪吸引
お悩み名 エラ・アゴ・小顔、シワ・たるみ

リスク:ダウンタイム:【腫れ・内出血】 1~2週間

施術の概要
直接脂肪を取る『顔の脂肪吸引』は、脂肪溶解剤など注射によるたるみ治療に比べてより短時間で効果を実感できます。さらに施術時間も短く、局所麻酔を使って30分~1時間程度で終了。ダウンタイムや腫れも少ないので、安心して受けていただけます。ダイエットでは落ちにくい顔の脂肪はもちろん、フェイスラインを整え小顔になりたい方におすすめの治療です。
施術の価格
150,000円〜750,000円 (税込 165,000円〜 825,000円)
30代女性のエラ・アゴ・小顔 Before 症例写真

Before

30代女性のエラ・アゴ・小顔 After 症例写真

After

施術名 VOVリフトプレミアム
お悩み名 シワ・たるみ、エラ・アゴ・小顔

リスク:痛み:【術中の痛み】ほとんどなし【挿入後の痛み】1週間ほど肌を触ると多少の痛みあり ダウンタイム:【腫れ】 1、2日程度/【内出血】 3~5日程度(メイクで隠せる程度)

施術の概要
『VOVリフトプレミアム』は、PCLというヨーロッパCEマーク、米国FDAを取得している素材でできた長期間持続型のリフティング・スレッド(糸リフト治療)です。挿入後糸が溶けるまで約12ヵ月~18ヵ月ほどかかるため、リフトアップ効果が長期間持続します。また、痛みを軽減するための丸みを持たせたコグ(棘)のデザインを採用。さらに糸とコグを一体化して作った「モルディング・コグ」なので、糸の強度にも優れており、高いリフトアップ効果が期待できます。
施術の価格
40,000円〜380,000円 (税込 44,000円〜 418,000円)
20代女性のエラ・アゴ・小顔 Before 症例写真

Before

20代女性のエラ・アゴ・小顔 After 症例写真

After

施術名 ヒアルロン酸注射
お悩み名 シワ・たるみ、エラ・アゴ・小顔

リスク:痛み:チクッとした軽い痛み ダウンタイム:部位や治療内容によって内出血を伴うことがあります。

施術の概要
ヒアルロン酸は、内部に水分を豊富に含む粘性のあるジェル状の薬剤です。この粘性を活用して、ほうれい線などの深いシワや顔の凹み部分を内側から隆起させ、シワを伸ばしたり、ふっくらとした顔立ちをつくるのが、プチ整形の代名詞とも言われる『ヒアルロン酸注射』です。ヒアルロン酸はもともと皮膚内部に存在する潤い成分なので、安心して受けていただける治療法のひとつです。
施術の価格
46,000円〜100,000円 (税込 50,600円〜 110,000円)
20代女性のエラ・アゴ・小顔 Before 症例写真

Before

20代女性のエラ・アゴ・小顔 After 症例写真

After

施術名 バッカルファット除去
お悩み名 エラ・アゴ・小顔、シワ・たるみ

リスク:ダウンタイム:【腫れ・内出血】 1~2週間

施術の概要
『バッカルファット除去』は、余分な脂肪を取り除きマリオネットラインや口元の若返りを叶えます。口腔内から上の奥歯のところを小さく0.5~1cm前後切開し、ほっぺたの裏にある脂肪をピンセットで除去するだけ。食事も当日から可能です。
施術の価格
150,000円〜450,000円 (税込 165,000円〜 495,000円)
50代女性のエラ・アゴ・小顔 Before 症例写真

Before

50代女性のエラ・アゴ・小顔 After 症例写真

After

施術名 チークリフト・フェイスリフト
お悩み名 シワ・たるみ、エラ・アゴ・小顔

リスク:ダウンタイム:【腫れ・内出血】 1~2週間

施術の概要
『チークリフト・フェイスリフト』は、加齢による「筋肉のたるみ」「皮膚のたるみ」を同時に解消するリフトアップ治療で、肌の土台からキュッと顔を引き上げ、たるみ解消を目指します。加齢によって生じた余分な皮膚を取り除き、土台からリフトアップさせます。
施術の価格
690,000円〜2,300,000円 (税込 759,000円〜 2,530,000円)
20代女性のエラ・アゴ・小顔 Before 症例写真

Before

20代女性のエラ・アゴ・小顔 After 症例写真

After

施術名 バッカルファット除去
お悩み名 エラ・アゴ・小顔、シワ・たるみ

リスク:ダウンタイム:【腫れ・内出血】 1~2週間

施術の概要
『バッカルファット除去』は、余分な脂肪を取り除きマリオネットラインや口元の若返りを叶えます。口腔内から上の奥歯のところを小さく0.5~1cm前後切開し、ほっぺたの裏にある脂肪をピンセットで除去するだけ。食事も当日から可能です。
施術の価格
150,000円〜450,000円 (税込 165,000円〜 495,000円)
20代女性のエラ・アゴ・小顔 Before 症例写真

Before

20代女性のエラ・アゴ・小顔 After 症例写真

After

施術名 バッカルファット除去
お悩み名 エラ・アゴ・小顔、シワ・たるみ

リスク:ダウンタイム:【腫れ・内出血】 1~2週間

施術の概要
『バッカルファット除去』は、余分な脂肪を取り除きマリオネットラインや口元の若返りを叶えます。口腔内から上の奥歯のところを小さく0.5~1cm前後切開し、ほっぺたの裏にある脂肪をピンセットで除去するだけ。食事も当日から可能です。
施術の価格
150,000円〜450,000円 (税込 165,000円〜 495,000円)
30代女性のエラ・アゴ・小顔 Before 症例写真

Before

30代女性のエラ・アゴ・小顔 After 症例写真

After

施術名 VOVリフトプレミアム
お悩み名 シワ・たるみ、二重整形・目元の整形、唇・口元の整形、エラ・アゴ・小顔

リスク:痛み:【術中の痛み】ほとんどなし【挿入後の痛み】1週間ほど肌を触ると多少の痛みあり ダウンタイム:【腫れ】 1、2日程度/【内出血】 3~5日程度(メイクで隠せる程度)

施術の概要
『VOVリフトプレミアム』は、PCLというヨーロッパCEマーク、米国FDAを取得している素材でできた長期間持続型のリフティング・スレッド(糸リフト治療)です。挿入後糸が溶けるまで約12ヵ月~18ヵ月ほどかかるため、リフトアップ効果が長期間持続します。また、痛みを軽減するための丸みを持たせたコグ(棘)のデザインを採用。さらに糸とコグを一体化して作った「モルディング・コグ」なので、糸の強度にも優れており、高いリフトアップ効果が期待できます。
施術の価格
40,000円〜380,000円 (税込 44,000円〜 418,000円)
30代女性のエラ・アゴ・小顔 Before 症例写真

Before

30代女性のエラ・アゴ・小顔 After 症例写真

After

施術名 VOVリフトプレミアム
お悩み名 シワ・たるみ、エラ・アゴ・小顔、唇・口元の整形

リスク:痛み:【術中の痛み】ほとんどなし【挿入後の痛み】1週間ほど肌を触ると多少の痛みあり ダウンタイム:【腫れ】 1、2日程度/【内出血】 3~5日程度(メイクで隠せる程度)

施術の概要
『VOVリフトプレミアム』は、PCLというヨーロッパCEマーク、米国FDAを取得している素材でできた長期間持続型のリフティング・スレッド(糸リフト治療)です。挿入後糸が溶けるまで約12ヵ月~18ヵ月ほどかかるため、リフトアップ効果が長期間持続します。また、痛みを軽減するための丸みを持たせたコグ(棘)のデザインを採用。さらに糸とコグを一体化して作った「モルディング・コグ」なので、糸の強度にも優れており、高いリフトアップ効果が期待できます。
施術の価格
40,000円〜380,000円 (税込 44,000円〜 418,000円)
60代女性のエラ・アゴ・小顔 Before 症例写真

Before

60代女性のエラ・アゴ・小顔 After 症例写真

After

施術名 ボルニューマ
お悩み名 シワ・たるみ、エラ・アゴ・小顔

リスク:痛み:ほとんどありません ダウンタイム:ほとんどありません

施術の概要
ボルニューマは、高周波(RF)による最新のたるみ治療機器です。皮膚表面へのダメージを抑えながら真皮層と脂肪層に熱を与えることで、真皮層のコラーゲン生成を促し、肌のハリや弾力に効果が期待できます。また、脂肪層の線維質を増加させ、脂肪層の引き締め・たるみの改善を行います。
施術の価格
30,000円〜144,000円 (税込 33,000円〜 158,400円)
30代女性のエラ・アゴ・小顔 Before 症例写真

Before

30代女性のエラ・アゴ・小顔 After 症例写真

After

施術名 ボルニューマ
お悩み名 シワ・たるみ、エラ・アゴ・小顔

リスク:痛み:ほとんどありません ダウンタイム:ほとんどありません

施術の概要
ボルニューマは、高周波(RF)による最新のたるみ治療機器です。皮膚表面へのダメージを抑えながら真皮層と脂肪層に熱を与えることで、真皮層のコラーゲン生成を促し、肌のハリや弾力に効果が期待できます。また、脂肪層の線維質を増加させ、脂肪層の引き締め・たるみの改善を行います。
施術の価格
30,000円〜144,000円 (税込 33,000円〜 158,400円)
50代女性のエラ・アゴ・小顔 Before 症例写真

Before

50代女性のエラ・アゴ・小顔 After 症例写真

After

施術名 ボルニューマ
お悩み名 シワ・たるみ、エラ・アゴ・小顔

リスク:痛み:ほとんどありません ダウンタイム:ほとんどありません

施術の概要
ボルニューマは、高周波(RF)による最新のたるみ治療機器です。皮膚表面へのダメージを抑えながら真皮層と脂肪層に熱を与えることで、真皮層のコラーゲン生成を促し、肌のハリや弾力に効果が期待できます。また、脂肪層の線維質を増加させ、脂肪層の引き締め・たるみの改善を行います。
施術の価格
30,000円〜144,000円 (税込 33,000円〜 158,400円)
40代女性のエラ・アゴ・小顔 Before 症例写真

Before

40代女性のエラ・アゴ・小顔 After 症例写真

After

施術名 ボルニューマ
お悩み名 シワ・たるみ、エラ・アゴ・小顔

リスク:痛み:ほとんどありません ダウンタイム:ほとんどありません

施術の概要
ボルニューマは、高周波(RF)による最新のたるみ治療機器です。皮膚表面へのダメージを抑えながら真皮層と脂肪層に熱を与えることで、真皮層のコラーゲン生成を促し、肌のハリや弾力に効果が期待できます。また、脂肪層の線維質を増加させ、脂肪層の引き締め・たるみの改善を行います。
施術の価格
30,000円〜144,000円 (税込 33,000円〜 158,400円)
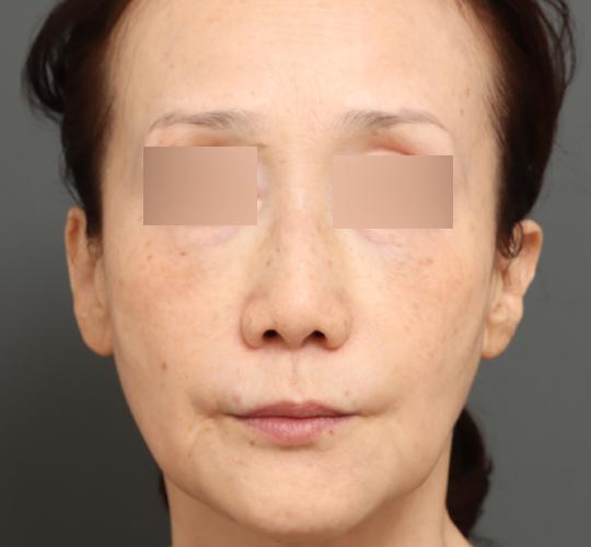
50代女性のエラ・アゴ・小顔 Before 症例写真

Before

50代女性のエラ・アゴ・小顔 After 症例写真

After

施術名 ボルニューマ
お悩み名 シワ・たるみ、エラ・アゴ・小顔

リスク:痛み:ほとんどありません ダウンタイム:ほとんどありません

施術の概要
ボルニューマは、高周波(RF)による最新のたるみ治療機器です。皮膚表面へのダメージを抑えながら真皮層と脂肪層に熱を与えることで、真皮層のコラーゲン生成を促し、肌のハリや弾力に効果が期待できます。また、脂肪層の線維質を増加させ、脂肪層の引き締め・たるみの改善を行います。
施術の価格
30,000円〜144,000円 (税込 33,000円〜 158,400円)
40代女性のエラ・アゴ・小顔 Before 症例写真

Before

40代女性のエラ・アゴ・小顔 After 症例写真

After

施術名 ボルニューマ
お悩み名 シワ・たるみ、エラ・アゴ・小顔

リスク:痛み:ほとんどありません ダウンタイム:ほとんどありません

施術の概要
ボルニューマは、高周波(RF)による最新のたるみ治療機器です。皮膚表面へのダメージを抑えながら真皮層と脂肪層に熱を与えることで、真皮層のコラーゲン生成を促し、肌のハリや弾力に効果が期待できます。また、脂肪層の線維質を増加させ、脂肪層の引き締め・たるみの改善を行います。
施術の価格
30,000円〜144,000円 (税込 33,000円〜 158,400円)